
The first phase of the excavation of the First Baptist Church, America’s oldest church founded by enslaved and free Blacks in Williamsburg, is complete.
Connie Matthews Harshaw, member of First Baptist Church and president of Let Freedom Ring Foundation, met with Cliff Fleet, Colonial Williamsburg president and CEO to commit to a new investigation of the church’s first permanent location on South Nassau Street.
In May 2020, with partners including William & Mary and Jamestown Rediscovery, Colonial Williamsburg archaeologists scanned the South Nassau Street site using ground-penetrating radar.
They were able to identify features including the foundation of the 1856 church, used by members of First Baptist Church—originally founded in secret by free and enslaved Blacks at the start of American Revolution — that could lie buried near the intersection of Nassau and Francis streets in Colonial Williamsburg’s Historic Area.
The project’s initial goal is “to determine if any undisturbed archaeological deposits remain on the property that have the potential to help interpret the property’s use by the Church,” according to a research design by the Colonial Williamsburg Department of Archaeology.
Jack Gary, Colonial Williamsburg’s director of archaeology, on Monday presented information about the completion of Phase 1, saying the goal was an “exploratory phase”.
Phase 1 research, including the archaeological excavation and partner and community engagement, were funded entirely through donor support, according to a news release from Colonial Williamsburg.
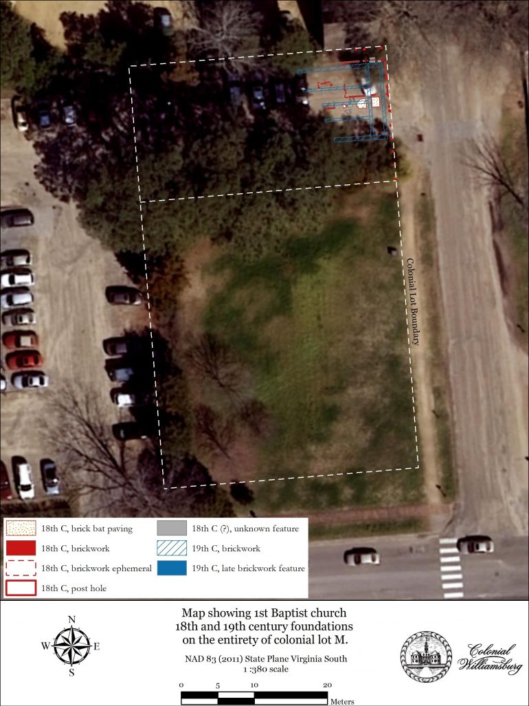
Key findings from Phase 1 — Sept. 8 to Nov 6 — include:
- Evidence of human burial west of the 1856 church, potentially confirming church tradition.
- Discovery of structural wooden post-holes dating as far back as the 18th century.
- More than 12,000 individual artifacts including an inkwell, pottery fragments, glass bottles, architectural materials, and personal items (doll fragments, buttons, coins) have been found at the site.
- Foundations of the 1856 church (last exposed during 1957 excavation).
- Older brick foundations immediately north and adjacent to the 1856 church.
- Foundations of the 1893 annex to the 1856 church.
- Foundations constructed in the 1950s for planned expansion of the 1856 church.
- Evidence of a pit near Francis Street West possibly dating to the early 18th century, when the property was owned by brickmaker John Tullitt before its purchase by John Custis IV.
- Brick foundations of a 20th century house used by Eastern State Hospital employees along Francis Street West.
“Until you go and actually see the site, you really don’t appreciate the work that has been done by the archaeologists,” said Reverend Dr. Julie Grace, associate minister of the First Baptist Church.
Phase 2 is scheduled to begin Jan. 4, 2021, continue for approximately 18 months, and entail a more thorough site excavation based on Phase 1 findings. With donor support and a grant from the Ford Foundation, Phase 2 is close to full funding, according to Colonial Williamsburg.
“This is nationally significant and important work that we have been able to come together as a community and work together on,” Fleet said. “It is really important, as a community and a nation we tell complete stories and the history of all who has been here.”
“This work, I think will, and already has uncovered important things, people and stories that will need to be told in a more wholesome way,” he added.
To stay updated on the project, follow Colonial Williamsburg Archaeology’s Facebook page.
YOU MIGHT WANT TO CHECK OUT THESE STORIES:
- This project will explore the site of America’s oldest church founded by enslaved and free Blacks in Williamsburg
- ‘Black people are used to this’: Historic church in Williamsburg responds to protests
- Reopening amid the coronavirus: W&M students start trickling into Williamsburg as other universities deal with COVID outbreaks
- When the news is scarier than the Boogeyman: How parents can help their kids process current events

